“Good morning!”
“I have something to show you on my left haunch.”
It wasn’t me, Rose.
Oh, Ann is in Florence. . .
Say hello to David for us, Ann. 🐴
I'm Francis. Deal with it.
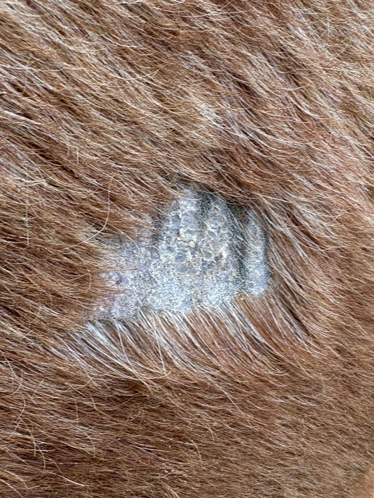
“Good morning!”
“I have something to show you on my left haunch.”
It wasn’t me, Rose.
Oh, Ann is in Florence. . .
Say hello to David for us, Ann. 🐴